梶賀ダイビングサービス

三重県尾鷲市梶賀にある【梶賀ダイビングサービス】より、梶賀の海情報をお伝えします。

2016年07月

SHOPさんにはビーチを使っていただきました。


熱低の影響なのかな?コカジカ対岸は少しうねっていますがビーチは


問題ありません。ただ潮の干満の差が激しく手すりの階段の一番下まで

潮が引いていく状態です。




水温は24℃。透明度も見る限り悪くはない感じでしたよ。

3連休も終わり今日はSHOPさんには、のんびりと潜っていただきました。



透明度は7~8m 水温は20mくらいはヒンヤリとして20℃くらいで

水面から10m辺りまでは24℃~25℃と

快適だそうです。


シーズンを迎えてますがまだまだ平日は込み合っていません。

のどかな梶賀に是非お越しください。まったりと出来ますよ。

やっと梅雨が明け夏本番を迎えた梶賀は室内なのに気温は32℃。外は猛暑です-。。(*´Д`)


今日はSHOPさんに、ネコザメ探しに意味のないブイとコカジカ対岸へとエントリーしていただきました。


1本目はネコちゃん見付ける事が出来ず・・・。その代りネジリンボウが居る砂地に目印として置いていた


ウエイトを知らずに回収! 本人、「はいっ!」と誇らしげ<(`^^)>  私は・・・Σ( ̄ロ ̄lll)ガーン 


2本目はまたまたネコを求めて対岸へ。でっかーいネコさん発見。

良かったですね。


透明度は7~12m  水温は21~23℃でした。


ご利用ありがとうございました。

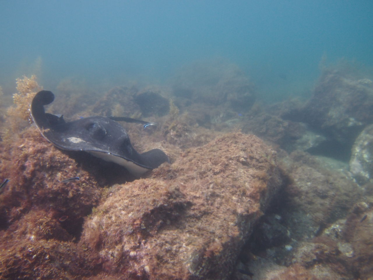
今日も巨大エイを探しにコカジカマエへ!!

降りてすぐ、やはり朝一は定位置にはいないのか発見ならず。


しかしだんだんと行動パターンが読めてきましたよ|д゚)

きっとまた5m付近の浅場にいるのでしょう!!、、、、、、



やっぱり!!


P7141252

 いた(*'▽')

P7141253

なぜ朝は浅場にいるのでしょう( *´艸`)

P7141254


P7141255

何回見てもでかい('◇')

P7141260

クマノミの卵もいたるところで確認できました、

この卵はオレンジ色してるのでハッチアウトはまだでしょう(*'ω'*)


水温21~25℃

透明度7~10mでした









今日は一本目から昨日のウシエイ狙いでコカジカマエへ!!

はいってすぐ!!

ウシエイ、探してみても定位置にはいません、、、、

あきらめて砂地へ、

中ネコザメ、コネコザメ、サカタザメ

P7131214

P7131213

他ホタテウミヘビ、ハナアナゴ、ホウボウなどを見て楽しみ(*'▽')


安全停止位置にむかうと。。。。




P7131218

い、いた~~!!('◇')

P7131219

 え、、、、

P7131220

 こっちきた~~!!!

P7131221

 ひょえ~('◇') 迫力満点!!



 とりあえず浮上して二本目に見に行くことに( *´艸`)




 P7131237
 
 ここ最近おなじみの背びれのかけたちびネコザメ

P7131225

 そしてお目当ての巨大エイ

 また定位置にておちついていました(*'▽')

 P7131245

 三本目は対岸へ!!

 シラユキウミウシ、ムカデミノウミウシ、ニシキウミウシetc.

魚影も濃くマクロもワイドも楽しめました(*'ω'*)


水温

今日は冷たい水が沖から入ってきているようで水底23m付近は19℃

浅場は21~24℃でした。


透明度、7~12m


















このページのトップヘ